NHC

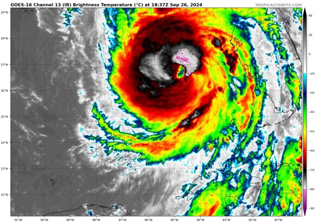
El Centro Nacional de Huracanes (NHC) en Miami ha emitido un boletín especial confirmando que el huracán Helene se ha fortalecido más de lo pronosticado, ahora clasificado como categoría 3 con vientos sostenidos de 120 mph, lo que representa una amenaza significativa para Florida. Se anticipa que el sistema haga su entrada por la región del Big Bend esta tarde o noche.
Se prevé una marejada ciclónica que podría alcanzar entre 15 y 20 pies de altura, lo cual podría resultar en inundaciones costeras y erosión en la zona oeste de la península de Florida. En las áreas de Tampa y Orlando, se pronostican ráfagas de viento con fuerza de tormenta tropical, oscilando entre 40 y 60 mph, así como acumulaciones de lluvia de entre 1 y 5 pulgadas. Además, se ha emitido una vigilancia de tornados que permanecerá en vigor hasta mañana.






Deja un comentario